Icono Icono Versión Accesible es Otros idiomas

Torrent impulsa la movilidad y el desarrollo económico con la construcción de una nueva rotonda estratégica en el Polígono Mas del Jutge

16/04/2025

El ayuntamiento resuelve un problema histórico para empresas y vecinos, de más de una década

La ciudad dá un gran paso hacia el desarrollo y modernización urbana y el crecimiento económico de uno de sus pulmones industriales

El Ayuntamiento de Torrent ha dado un paso decisivo hacia la mejora de la movilidad urbana y el impulso económico de su tejido empresarial con la aprobación, en Junta de Gobierno Local, del proyecto de construcción de una nueva glorieta en la intersección del Camí Mas del Jutge y la calle Sabaters. Esta actuación, largamente esperada, no solo moderniza una de las zonas industriales más relevantes del municipio, sino que también mejorará de manera significativa la seguridad vial, la fluidez del tráfico y el acceso a múltiples instalaciones del área.

La actuación responde a una demanda histórica del tejido empresarial y vecinal que representa no solo una respuesta técnica a un problema de tráfico, sino también una clara apuesta por dotar al municipio de infraestructuras modernas, eficientes y adaptadas a la situación real. Con un presupuesto de ejecución de 561.028,94 € (IVA incluido) y un plazo estimado de cuatro meses, este proyecto marcará un antes y un después en la conectividad del municipio y la funcionalidad de una de sus áreas industriales más activas.

El consistorio ha asumido la gestión directa de las expropiaciones necesarias, y la obra ha sido diseñada conforme al planeamiento urbanístico vigente, sobre suelo consolidado y calificado como urbano.

Solución a un punto conflictivo que limitaba el crecimiento económico

La confluencia del Camí Mas del Jutge con la calle Sabaters ha sido durante más de una década una fuente de complicaciones para el tráfico pesado, el acceso a empresas y la movilidad general en el polígono. A esto se sumaban reclamaciones vecinales y empresariales no resueltas desde el año 2008, cuando la imposibilidad de expropiar determinados suelos y la necesidad de reponer servicios frenaron la ejecución del proyecto original.

Con la nueva actuación, se resuelven definitivamente las alegaciones históricas relativas a accesos, cerramientos, vallados, servicios eléctricos y trazados, con soluciones consensuadas y técnicamente viables.

Este proyecto forma parte de una estrategia más amplia que ya tuvo una primera fase con la mejora de la carretera CV-405 y ahora con la consolidación de la Ronda Oeste de Torrent, un anillo viario que conecta el polígono con las principales vias provinciales, mejorando su infraestructura y reduciendo el tráfico del centro urbano y potenciando el papel logístico de la ciudad en el área metropolitana de Valencia.

También mejora sustancialmente la conectividad del polígono con la carretera provincial CV-411 y, por extensión, con el resto del área metropolitana de Valencia, así como con la CV-36 y la A3.

Un proyecto integral al servicio del desarrollo y modernización urbana

La nueva glorieta forma parte del diseño de la Ronda Oeste de Torrent (2.ª fase), una actuación estructural orientada a mejorar la conectividad entre distintas zonas del municipio, disminuir la presión del tráfico en el núcleo urbano y potenciar la competitividad del polígono industrial

Esta infraestructura reorganizará de forma definitiva los flujos de tráfico en una zona que, hasta ahora, presentaba numerosos puntos conflictivos: comenzando por un diseño obsoleto que impedía una circulación eficiente, especialmente para vehículos pesados,  en su intersección con la calle Sabaters, se genera actualmente un cuello de botella que limita el acceso y la movilidad dentro del polígono, giros prohibidos a izquierdas, dificultad en la transición de dos carriles por sentido a uno por sentido, estrechamiento de calzadas y problemas de acceso a parcelas industriales, entre otros.

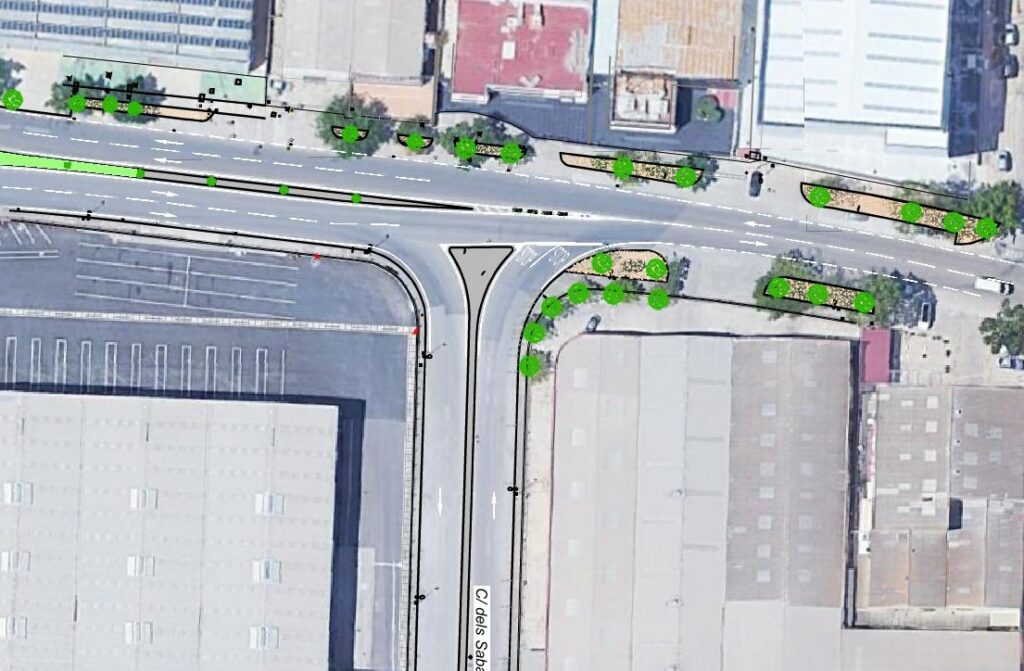
La glorieta tendrá un diámetro interior de 18 metros, con dos carriles de 4 metros y arcenes de 0,5 m, lo que garantizará una circulación fluida, segura y ordenada. Además, se construirá una vía de servicio en sentido este-oeste para acceder a las parcelas situadas en la margen norte, separada por un doble bordillo montable que facilita el tránsito sin interferencias con la glorieta.

La intervención contempla también un nuevo vial de servicio, destinado a mejorar el acceso a las parcelas situadas al norte de la glorieta, contribuyendo a un acceso más ordenado a las mismas, sin interferir con el flujo principal de tráfico y reduciendo colapsos puntuales. Esto también, evitará el cruce de vehículos por zonas no habilitadas, dotando de mayor seguridad y mejorando la logística diaria a trabajadores, transportistas y visitantes.

Asimismo, la actuación incluye importantes mejoras en accesibilidad universal con aceras e isletas adaptadas, mejoras en jardinería, alumbrado y sostenibilidad ambiental. La glorieta será ajardinada con especies aromáticas autóctonas como romero, tomillo, lavanda y menta, contará con un sistema de riego por goteo, y será rematada con una encina central que simboliza la identidad natural de Torrent. Todo ello dotará al espacio de un valor paisajístico acorde con los estándares estéticos actuales.

Se prevé además, la reposición de todos los servicios existentes, incluyendo saneamiento, telefonía, electricidad y alumbrado, con el menor impacto posible sobre las infraestructuras actuales.

Las calzadas existentes serán fresadas y repavimentadas con mezclas bituminosas modernas, mientras que en zonas de ampliación se ejecutarán paquetes de firme completos, garantizando la durabilidad y la seguridad estructural. Las aceras serán de hormigón, con bordillos montables en glorieta e isletas, y señalización tanto vertical como horizontal conforme a la normativa vigente.

Beneficios directos para el tejido empresarial local

El Polígono Mas del Jutge es uno de los pulmones industriales y motor económico de Torrent. En él se ubican decenas de empresas que generan empleo, riqueza y actividad logística. Hasta ahora, su desarrollo estaba condicionado por accesos limitados, rotondas inexistentes y dificultades estructurales de movilidad.

La ejecución de este proyecto tiene una repercusión directa en la productividad y competitividad del tejido empresarial: mejora la entrada y salida de vehículos pesados, racionaliza el tránsito interno, incrementa la seguridad vial y revaloriza el entorno urbanístico, lo que aumentará el atractivo del polígono para nuevas inversiones y ampliaciones empresariales.

Los ciudadanos también saldrán beneficiados, ya que esta actuación supone un alivio para el tráfico urbano, al desviar parte de la carga circulatoria a esta zona industrial adecuadamente preparada. Además, de incrementar la seguridad vial, tanto para conductores como para peatones.

La alcaldesa, Amparo Folgado ha destacado que “esta actuación transformadora responde a una demanda histórica de empresas y vecinos, desbloqueando un punto conflictivo que llevaba más de una década pendiente y que ahora se resuelve para garantizar la seguridad, accesibilidad, el desarrollo económico y respeto al entorno, con un enfoque orientado al bienestar de la ciudadanía”.

“La intervención tiene una especial trascendencia para las empresas del polígono Mas del Jutge, uno de los motores económicos de Torrent. La mejora de los accesos, la racionalización del tráfico y la adecuación de servicios son elementos clave que incidirán positivamente en la competitividad de estas empresas, reduciendo tiempos de transporte, aumentando la seguridad vial y revalorizando el entorno”, ha enfatizado la alcaldesa.

“La obra se inscribe dentro de una visión de ciudad más moderna, sostenible y ordenada. Al reorganizar un eje clave como es el Camí Mas del Jutge, Torrent se prepara para el futuro, ofreciendo infraestructuras de calidad que refuerzan su posición como referente logístico, industrial y urbano en el área metropolitana de Valencia”, ha indicado Folgado.

Con este proyecto, “Torrent avanza decididamente hacia un modelo de ciudad mejor conectada, más segura y preparada para afrontar los retos del crecimiento urbano y económico. La construcción de la glorieta no es solo una infraestructura más, sino una pieza estratégica que generará un impacto directo y positivo en el día a día de miles de personas”, ha enfatizado el concejal del Área de Urbanismo Francisco Gozalvo.

“Esta actuación no se entiende como una intervención aislada, sino como parte de un plan integral de modernización urbana que busca transformar Torrent en un modelo de ciudad funcional, equilibrada y adaptada al crecimiento sostenible”, ha añadido Gozalvo.

Artículos Relacionados